Here's what our viewers thought of the vice presidential debate
Vice President Mike Pence and California Sen. Kamala Harris faced off Wednesday night in their only debate of the 2020 election campaign in Utah. The debate covered more topics than last week's Trump-Biden showdown, but overall, the debate ultimately was …
More than 50 million people watched the vice presidential debate
The vice presidential debate between Mike Pence and Kamala Harris was a much bigger audience draw than the comparable VP debate in 2016, according to preliminary Nielsen ratings.
School District sued over alleged inappropriate behavior by volunteer soccer coach
The Lindbergh School District is now facing a lawsuit following accusations of inappropriate behavior by a soccer coach. The mother of a 12-year-old girl at the center of the lawsuit is speaking to News 4.
Man cut out his car, another woman hurt, after crash
Moline Police say a woman in a van on 16th Street heading south and then trying to turn east onto Avenue of the Cities, hit another car with a man and woman inside.
There have been multiple sightings of a hairy, venomous caterpillar in Virginia
It's small, hairy and you don't want to get anywhere near it. It is considered to be one of the most venomous caterpillars in the US, and there have been multiple reports of the puss caterpillar appearing in "parks or …
Virtual debates aren't new. Sixty years ago, Kennedy and Nixon debated 3,000 miles apart
This unprecedented year has inspired great innovation. But the idea of hosting a virtual debate isn't one of them.
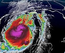
Hurricane Delta is about to hit nearly the same spot as Laura in Louisiana, just 6 weeks later
Hurricane Delta is bearing down on the same area that was devastated by Hurricane Laura just six weeks ago.
Feds charge six men accused in plot to kidnap Michigan governor
Six men were charged Thursday in an alleged plot to kidnap Michigan Democratic Gov. Gretchen Whitmer, according to a federal criminal complaint.
Kroger Here to Support Communities Through Hurricane Delta
As Hurricane Delta makes its way towards the Gulf Coast, Kroger is deploying resources to ensure families across Louisiana can stock up on much needed supplies ahead of the storm’s impact. Several trailers of water have been delivered and shelves …
For business class seats, an airy, spacious future is being designed
There's an airy, spacious, futuristic seat coming to business class, with all-new scientifically engineered structures and materials borrowed from Formula 1 cars.
US counterintelligence chief says foreign adversaries are exploiting Trump's lies to influence election
The top US intelligence official on election security says that foreign adversaries are exploiting lies by President Donald Trump in their campaigns to influence the 2020 election.
Doctor weighs in on the President's praise for antibody treatments as OHSU starts its own trial
President Trump praised one of the COVID-19 treatments he received, an antibody cocktail from the company Regeneron.
Donald Trump just got another excuse if he loses the 2020 election
On its face, President Donald Trump's immediate insistence that he will not participate in a virtual second debate in a week's time makes very, very little political sense.
Companies are making some changes for employees health insurance amid the pandemic
More coverage for virtual doctors' visits. Expanded mental health benefits. Access to on-site health clinics. As employees sign up for job-based coverage for 2021, they'll find the coronavirus pandemic has changed some of the benefits that their companies are providing, …
Space is becoming too crowded, Rocket Lab CEO warns
In 1978, NASA scientist Donald Kessler warned of a potential catastrophic, cascading chain reaction in outer space. Today known as "Kessler Syndrome," the theory posited that space above Earth could one day become so crowded, so polluted with both active …

