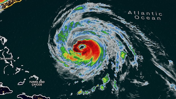
Hurricane Lee’s threat to portions of New England and Atlantic Canada is growing, with a track closer to the coast becoming more likely and a massive wind field which could reach these areas regardless of where the storm finally tracks later this week and this weekend.
Mandatory Credit: CNN Weather
Stories this photo appears in:
Massive Hurricane Lee a growing threat to New England, Canada
Hurricane Lee’s threat to portions of New England and Atlantic Canada is growing, with a track closer to the coast becoming more likely and a massive wind field which could reach these areas regardless of where the storm finally tracks later this week and this weekend.

