|
Published on July 1, 2024 |
Renauld White, an actor and trailblazing model whose career spanned decades, had died. Mandatory Credit: Jemal Countess/WireImage/Getty Images via CNN Newsource Published on July 1, 2024 |
H-E-B Mansfield Published on July 1, 2024 |
H-E-B Mansfield Ribbon Cutting Published on July 1, 2024 |
H-E-B Mansfield Ribbon Cutting Published on July 1, 2024 |
PROPEL’s HBCU Faculty Fellows culminate a year-long experience in Austin, Texas, where educators are trained to use Apple technology and challenge-based learning opportunities to enhance … Published on July 1, 2024 |
Published on July 1, 2024 |
Fifteen-year-old Carlo Acutis will become the Catholic Church's first millennial saint. Vatican Pool/Getty Images Published on July 1, 2024 |
Published on July 1, 2024 |
|
Published on July 1, 2024 |
Published on July 1, 2024 |
Published on July 1, 2024 |
|
Quincy Wilson, 16, is fast becoming a rising star in the world of athletics. Mandatory Credit: Patrick Smith/Getty Images via CNN Newsource Published on July 1, 2024 |
Published on July 1, 2024 |
Elizabeth Wolf allegedly tried to drown a 3-year-old at an apartment complex pool in Euless in May 2024. Credit: Euless Police Department Published on July 1, 2024 |
|
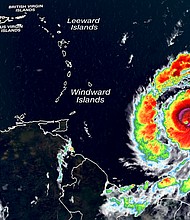
Hurricane Beryl, a powerful Category 3 storm, is expected to slam into the Caribbean on July 1, endangering several island communities with life-threatening storm surge, … Published on July 1, 2024 |
Published on July 1, 2024 |
Published on July 1, 2024 |
Published on July 1, 2024 |
Humble ISD Trustee and Harris County Central Appraisal District Board Chair Martina Lemond Dixon, Harris County Central Appraisal District Board Member Ericka McCrutcheon, and former … Published on July 1, 2024 |















