Statement from Vice President Harris on Anniversary of Trump Abortion Ban in North Carolina
“One year ago, a Trump abortion ban went into effect in North Carolina after Trump’s friends in the state legislature voted to override Governor Cooper’s veto – unleashing immeasurable pain, harm and confusion on women across the state. Today, North …
Steve Bannon begins serving 4-month sentence in federal prison for defying congressional subpoena
Steve Bannon, a former Donald Trump White House strategist, reported to a federal prison in Danbury, Connecticut, on Monday to begin a four-month sentence for defying a congressional subpoena.
13-year-old killed by police after officers say teen fled and pointed replica handgun at them
An officer in Utica, New York, shot and killed a 13-year-old on Friday night after police say he fled and pointed a replica handgun at them.
Mistrial declared in murder trial of Karen Read, woman accused of killing her police officer boyfriend
A judge declared a mistrial in the murder trial of Karen Read, the Massachusetts woman accused of drunkenly driving into her police officer boyfriend and leaving him to die in January 2022, in a case featuring accusations of a vast …
The Locker Room Sports Bar & Grill Launches New $9 & Under Summer Happy Hour Menu
The Locker Room Sports Bar & Grill, a beloved neighborhood hangout in Houston’s Third Ward, is thrilled to announce the launch of its new $9 & Under Happy Hour Menu, just in time for the summer season. This enticing happy …
PROPEL Center Celebrates Faculty Fellows for Elevating HBCU Education with Apple Technology
The PROPEL Center, an innovation and technology hub for Historically Black Colleges and Universities (HBCUs), recently celebrated the achievements of 37 faculty members who completed the HBCU Faculty Fellows Academy (HFFA). This year-long program is designed to enhance teaching skills …
PROPEL Center Celebrates Faculty Fellows for Elevating HBCU Education with Apple Technology
The PROPEL Center, an innovation and technology hub for Historically Black Colleges and Universities (HBCUs), recently celebrated the achievements of 37 faculty members who completed the HBCU Faculty Fellows Academy (HFFA). This year-long program is designed to enhance teaching skills …
Deadline for Disaster Unemployment Assistance Applications: July 16
The Texas Workforce Commission (TWC) is reminding individuals impacted by the severe weather events in April and May to submit their Disaster Unemployment Assistance (DUA) applications by the fast-approaching deadline of July 16, 2024. The Presidential Disaster Declaration covers numerous …
Video-gaming teenager to become first Catholic millennial saint as pope and cardinals approve canonization
A video-gaming Italian teenager will become the Catholic Church’s first millennial saint after his cause for canonization was approved by church authorities.
Houston Metal Powder Coating Company Faces $338K Penalty for Serious Safety Violations
In a startling revelation, a federal workplace inspection at Outdoor Furniture Refinishing Inc., operating as Allied Powder Coating, has uncovered a series of grave safety hazards that put workers' health at significant risk. The U.S. Department of Labor’s Occupational Safety …
CAIR-Texas Commends Rearrest of Elizabeth Wolf for Attempted Murder of a 3-Year-Old Muslim Child
In a significant step towards justice, the Texas chapter of the Council on American-Islamic Relations (CAIR-Texas), the nation’s largest Muslim civil rights and advocacy organization, has expressed relief and gratitude following the rearrest of Elizabeth Wolf. Wolf, initially released on …
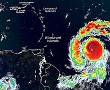
Hurricane Beryl makes landfall as life-threatening Category 4 storm
Hurricane Beryl is roaring through the Windward Islands as an extremely dangerous Category 4, delivering violent winds, intense rainfall and life-threatening storm surge after making landfall Monday.
Why water is the best drink during a heat wave
More water, please. Millions of Americans are experiencing a record-breaking heat wave that has continued for days on end.
Why Walgreens, CVS and Rite Aid are closing thousands of drug stores across America
Walgreens said Thursday that it plans to close a “significant” number of its roughly 8,600 stores in the United States. Around 25% of Walgreens’ stores aren’t profitable, and the chain will look to close stores that are right by one …
Supreme Court overturns 1984 Chevron precedent, curbing power of federal government
The Supreme Court on Friday significantly weakened the power of federal agencies to approve regulations in a major decision that could have sweeping implications for the environment, public health and the workplace.

